S
İ
L
İ
F
K
E
B
E
L
E
D
İ
Y
E
S
İ
Kapat
Mesaj Gönder
0/200
Gönder
İletişim
Hızlı Ödeme
İletişim
29 Nisan 2025
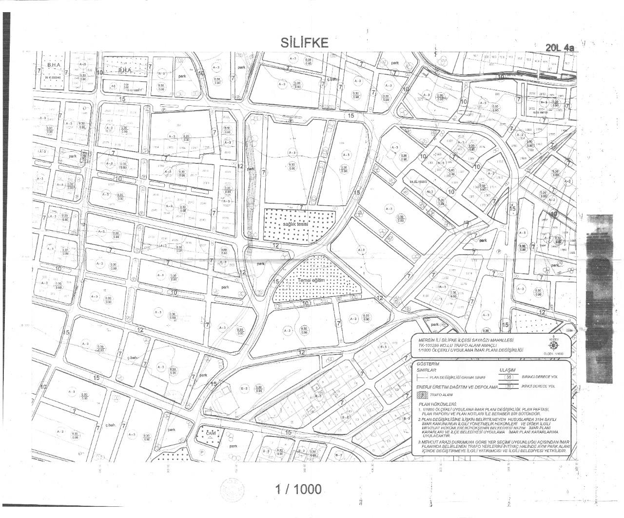
HACIİSAKLI VE SAYAĞZI MAHALLESİNDE TRAFO, 1/1000 ÖLÇEKLİ UYGULAMA VE İMAR PLAN DEĞİŞİKLİĞİ
Duyuruya Ait Pdfler
ASKIYA ÇIKARMA TUTANAĞI
Silifke Meclis Kararı
20K2C Ön
20L4A ÖN
MBŞB Meclis Kararı
P31D03C3C ÖN
P31D04D4A ÖN
P31D09A1A ÖN
P31D09A1B ÖN
P31D09A2D ÖN
TK-92177 Plan Açıklama Raporu
Tk-100683 Plan Açıklama Raporu
TK-101259 Plan Açıklama Raporu
TK-102366 Plan Açıklama Raporu
TK-106309 Plan Açıklama Raporu
TK-107116 Plan Açıklama Raporu
TK-107122 Plan Açıklama Raporu
KURUMSAL
Meclis Üyeleri
Başkan Yardımcıları
Encümen Üyeleri
Meclis Görev Ve Yetkileri
Müdürlükler
Kent Estetik Kurulu
Muhtarlıklar
Organizasyon Şeması
Encümen Görev Ve Yetkileri
Raporlar
Kent Rehberi
Kent Rehberi
E-Belediye
E-Belediye